TestLink – Installation & gestion de tests (v1.9.20)






TestLink – Gestion de campagnes de test
Mise en place de TestLink sur une VM Debian 12 via un environnement LAMP. Installation de la version 1.9.20, résolution des incompatibilités PHP 8.x et configuration d’un projet de test complet.
- Catégorie : QA / Gestion de tests
- Contexte : VM Debian locale (LAMP)
- Livrables : Installation, campagne de test, exécution et reporting
Contexte & objectifs
TestLink est un outil web open source de gestion de tests manuels. Objectif : déployer TestLink sur Debian 12 avec un environnement LAMP et créer une campagne de test pour valider l’ajout d’un utilisateur.
Installation & problème critique PHP
Problème rencontré : TestLink 1.9.20 n’est pas compatible PHP 8.2.
- Désinstallation de PHP 8.2
- Installation de PHP 7.4 avec modules requis :
apt install php7.4 php7.4-mysql php7.4-xml php7.4-mbstring libapache2-mod-php7.4
- Redémarrage d’Apache + ajustement php.ini
- Installation réussie ensuite via
http://127.0.0.1/testlink/install/
Création projet & campagne
- Projet : Projet de démonstration
- Campagne : Campagne démo
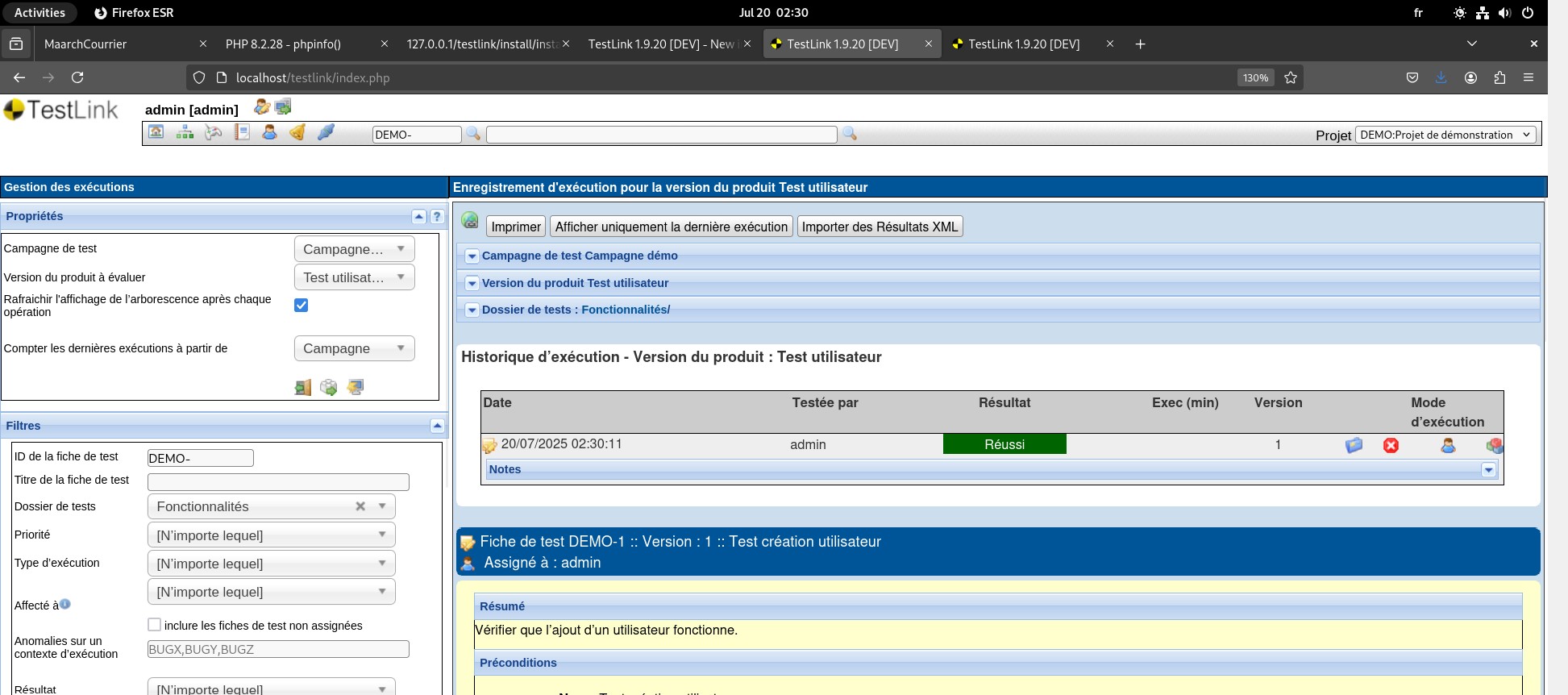
- Fiche de test : Test création utilisateur (5 étapes détaillées + résultats attendus)
- Versions créées : 1 et 2
- Assignation : user admin sur version 1
Difficultés rencontrées
- Interface complexe et peu intuitive
- Pas d’exécution possible si test non assigné à un utilisateur/version active
- Mauvaise compréhension initiale des notions build / version / campagne
Solutions mises en place
- Relecture doc + autoformation vidéo
- Création d’une campagne et d’une version produit propres
- Assignation correcte du test au user admin
- Exécution manuelle des 5 étapes → résultats renseignés
Résultats & enseignements
- Tableau de bord final : 100 % tests réussis
- Historique d’exécution complet et traçable
- Compréhension des concepts clés de gestion de tests manuels
- Expérience d’installation/dépannage PHP utile pour d’autres projets